Actualités Météo

Ouragan Melissa : vers un phénomène d’une ampleur inégalée pour la Jamaïque

Par Florent Schindler, météorologue
mis à jour le

L’ouragan Melissa a atteint la catégorie 5 avec des vents moyens de 280 km/h, une pression minimale de 901 hPa et un déplacement très lent vers le NNE (7 km/h). Il s’apprête à frapper la Jamaïque avec un mur d’œil potentiellement dévastateur, des surcotes de 3 à 4 m accompagnées de vagues destructrices, et des pluies diluviennes pouvant atteindre 1 000 mm localement. Les autorités préviennent d’un risque catastrophique pour les populations et les infrastructures.

Consulter la météo de votre ville
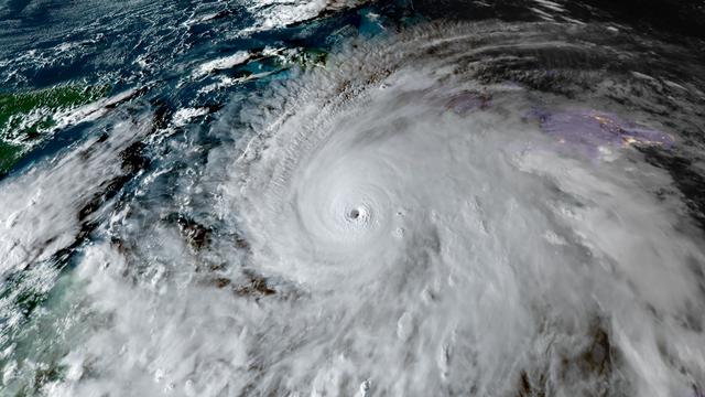
Melissa est un ouragan majeur dont les effets s'annoncent catastrophiques © NOAA/ CIRA

À 10 h UTC (mardi 28 octobre), le Centre national des ouragans (NHC) situait Melissa à 17,2° N et 78,3° O, environ 180 km au sud-sud-ouest de Kingston.
Les vents soutenus atteignaient 280 km/h (rafales supérieures à 320 km/h) avec une pression centrale à 901 hPa et un déplacement vers le nord-nord-est à 7 km/h.

L’étendue des vents est remarquable : les vents ≥ 120 km/h s’étendent jusqu’à 45 km du centre et les vents de tempête tropicale jusqu’à 315 km. Cette combinaison d’intensité extrême et de lenteur accroît considérablement les impacts à terre. En mer, les vagues atteignent 4 à 9 mètres, avec de longues houles rayonnant vers la Jamaïque, Cuba, Hispaniola et les Bahamas.

Pourquoi Melissa est-il autant redouté ?

D’une part, en raison de son intensité : un ouragan de catégorie 5 approchant directement la Jamaïque constitue un cas sans précédent pour l’île, et le cyclone le plus puissant de l’année 2025 à l’échelle mondiale. D’autre part, la vulnérabilité des populations : une grande partie des habitations en Jamaïque, en Haïti ou dans l’est de Cuba sont des maisons légères (bois, tôle, parpaings), peu résistantes aux vents extrêmes et aux submersions marines. Dans ces conditions, un mur d’œil avec des vents dépassant 270 à 300 km/h peut arracher toitures et charpentes, provoquer des effondrements partiels, sectionner les réseaux (électricité, eau, télécommunications) et rendre de vastes zones inhabitables pendant plusieurs semaines. Les glissements de terrain sont également très probables dans les régions montagneuses, aggravés par la déforestation et la saturation des sols.

Pluies, vents, vagues : quels dégâts anticiper ?

Les cumuls de pluies prévus pourraient atteindre 380 à 760 mm de pluie sur la Jamaïque, avec des pointes jusqu’à 1 000 mm localement. De telles lames d’eau impliquent un risque majeur de crues soudaines, de coulées de boue et d’inondations généralisées. Sur les côtes sud jamaïcaines, la surcôte pourrait atteindre 3 à 4 mètres au-dessus du niveau du sol, accompagnée de vagues de plus de 8 à 9 mètres. Sur la côte nord-ouest, elle pourraient atteindre jusqu'à 1,2 mètre. A l’est de Cuba, les surcôtes pourraient culminer entre 2 et 3,5 mètres, là encore avec une houle très énergétique.

Vitesse de déplacement : un facteur aggravant

Le déplacement très lent de Melissa (environ 7 km/h) prolonge l’exposition aux pluies torrentielles, aux vents violents persistants et aux fortes vagues. Cette lenteur favorise une montée rapide des eaux sur les côtes et multiplie le risque d’inondations et de glissements de terrain.

Qu'attendre des prochaines heures ?

Le cœur de Melissa devrait passer sur la Jamaïque aujourd’hui, puis sur le sud-est de Cuba mercredi matin, avant de traverser le sud-est ou le centre des Bahamas mercredi soir. Une légère accélération vers le nord-est est attendue d’ici 24 à 48 heures, accompagnée d’un affaiblissement graduel — mais Melissa conservera la force d’un ouragan majeur lors de son passage sur Cuba et les Bahamas. Des alertes ouragan sont en vigueur pour la Jamaïque, plusieurs provinces de l’est cubain, ainsi que pour le sud-est et le centre des Bahamas. Haïti est placée en alerte tempête tropicale.

« Ampleur inégalée » : ce que cela signifie

Au-delà des chiffres (vents à 280 km/h, 901 hPa de pression), Melissa se distingue par la conjonction de facteurs extrêmes :

- intensité catégorie 5 à l’approche des terres,

- déplacement très lent,

- surcotes majeures,

- pluies diluviennes sur un territoire densément peuplé et hautement vulnérable.

Il pourrait s'agir du plus puissant cyclone à menacer la Jamaïque depuis le début des observations modernes, confirmant le caractère exceptionnel et potentiellement catastrophique de cet événement.

Partagez cet article

À lire aussi

Articles les plus lus