Actualités Météo

Melissa : d'une simple tempête tropicale à l'un des ouragans les plus puissants de l'Atlantique

Par Florent SCHINDLER, météorologue
mis à jour le

Rarement la fin d’une saison cyclonique aura été aussi spectaculaire. En quelques jours, l’ouragan Melissa s’est hissé au rang des plus puissants jamais observés dans l’Atlantique, balayant la Jamaïque et Cuba avec des vents extrêmes et rappelant la force de plus en plus redoutable des cyclones tropicaux.

Consulter la météo de votre ville
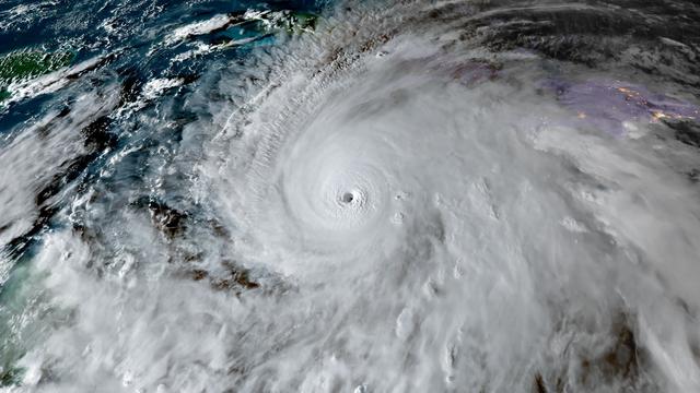
Vue de l'ouragan Melissa dans la mer des Caraïbes © NOAA / CIRA

Fin octobre 2025, la saison cyclonique dans l’Atlantique nord s’est illustrée par un phénomène majeur : l’ouragan Ouragan Melissa a marqué l’année par son intensité et son impact. Avec des vents à plus de 300 km/h et une pression minimale de 982hPa, il s’agit de l’un des plus puissants ouragans de l’Atlantique depuis le début des relevés.

Naissance et formation

Melissa est l'ouragan le plus puissant à avoir touché la Jamaïque © La Chaîne Météo

Melissa a vu le jour à la mi-octobre 2025, dans un contexte particulièrement favorable à la formation de cyclones tropicaux dans l’Atlantique ouest. Le 21 octobre, le National Hurricane Center (NHC) a officiellement nommé la tempête tropicale « Melissa », après que la perturbation initiale se fut organisée dans la mer des Caraïbes. Au moment de sa désignation, elle présentait des vents soutenus d’environ 80 km/h et une pression centrale proche de 1003 hPa.

Dans les jours qui ont suivi, Melissa a progressé très lentement au cœur de la mer des Caraïbes, une lenteur qui a favorisé l’intensification progressive des orages autour de son centre.

Pourquoi Melissa a-t-elle présenté un tel potentiel dès sa naissance ?

Les eaux de surface, particulièrement chaudes dans la région — dépassant les 30 °C au sud de la Jamaïque — offraient au système une formidable réserve d’énergie. Dans le même temps, le cisaillement vertical des vents, souvent responsable du ralentissement ou de la désorganisation des tempêtes, s’est nettement affaibli. Cette accalmie a permis à Melissa de consolider son cœur et de structurer sa circulation. Enfin, son déplacement extrêmement lent dans une zone très favorable lui a laissé le temps de puiser toute cette énergie, de s’organiser en profondeur et de franchir le cap entre tempête modérée et système majeur.

Étapes clés du développement de Melissa

???? Les différentes étapes de #Melissa, de tempête tropicale à un #ouragan historique de catégorie 5/5 en l'espace d'une semaine. #hurricane pic.twitter.com/NZ1iNFbf1W

— La Chaîne Météo (@lachainemeteo) October 29, 2025

Le 23 octobre, Melissa restait une simple tempête tropicale, générant des vents modérés autour de 80 km/h. Le NHC signalait déjà un risque de fortes pluies sur Haïti et la Jamaïque.

Entre le 25 et le 26 octobre, la situation a basculé : la tempête a connu une phase d’intensification explosive, passant en moins de 48 heures du stade de tempête tropicale à celui d’ouragan majeur.

Le 27 octobre, Melissa atteignait la catégorie 5, avec une pression minimale estimée à 892 hPa et des vents proches de 300 km/h — un record qui la place parmi les ouragans les plus puissants de l’Atlantique.

Cet ouragan est aussi rentré dans l’histoire en établissant le record de l’œil le plus sec jamais observé sur une image vapeur d’eau, dépassant le précédent record du super typhon Meranti avec une température de -5 °C. Une rafale dépassant les 400 km/h a également été enregistrée à environ 250 mètres d’altitude, faisant de Melissa l’un des phénomènes les plus violents jamais observés à l’échelle mondiale.

Cette évolution fulgurante résulte de conditions idéales : eaux exceptionnellement chaudes, cisaillement des vents minimal et déplacement très lent, autant de facteurs ayant permis au système de se renforcer jusqu’à devenir un cyclone d’une intensité exceptionnelle.

Parcours et zones touchées

Trajectoire prévue de l'ouragan Mélissa © La Chaine Météo

Après sa formation dans la mer des Caraïbes le 21 octobre 2025, Melissa s’est lentement organisée avant de se renforcer rapidement au sud de la Jamaïque. Le 27 octobre, elle a atteint la catégorie 5, avec des vents dépassant les 295 km/h, puis a frappé de plein fouet la Jamaïque le lendemain à son intensité maximale. Le cyclone a ensuite poursuivi sa route vers Cuba, où il a touché la côte sud-est en catégorie 3 le 29 octobre, provoquant d’importantes pluies et des glissements de terrain. En s’éloignant, Melissa a traversé les Bahamas et les îles Turques-et-Caïques en s’affaiblissant progressivement, avant de passer à proximité des Bermudes et de perdre ses caractéristiques tropicales le 31 octobre. Sur son passage, l’ouragan a généré des vents dévastateurs, des ondes de tempête et des pluies diluviennes, entraînant inondations et glissements de terrain, notamment en Jamaïque et en Haïti.

Le bilan provisoire faisait état, au 31 octobre, de près de 50 victimes dans les pays touchés, des milliers de déplacés, des infrastructures et des réseaux électriques largement sinistrés. En Jamaïque, plus de 70 % des foyers ont été privés d’électricité.

Avec Melissa, la saison cyclonique 2025 confirme une forte activité, marquée par plusieurs ouragans majeurs, dont plusieurs atteignant la catégorie 5. C’est un rappel que, même vers la fin de saison, le bassin atlantique reste capable de produire des systèmes extrêmement puissants.

Partagez cet article

À lire aussi

Articles les plus lus